Skip to main content

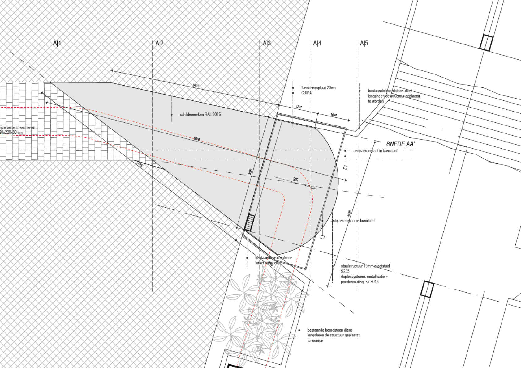
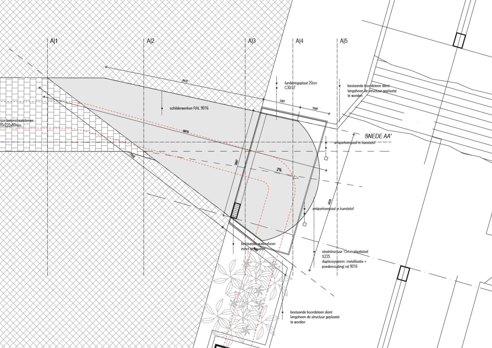
Kunstingreep bij tunnel